Ciudad de México.- Integrantes de la Asociación de Zoológicos, Criaderos y Acuarios de México (AZCARM) alertaron sobre el preocupante aumento del tráfico ilegal de especies silvestres en el país. Esta actividad ilícita representa una grave amenaza para la biodiversidad y pone en riesgo la supervivencia de numerosas especies.
All Stories
Ciudad de México.- El magistrado de la Sala Superior del Tribunal Electoral del Poder Judicial de la Federación (TEPJF), Felipe de la Mata Pizaña afirmó que los tribunales deben adoptar una posición proactiva y estar a la vanguardia en la lucha contra la violencia de género.
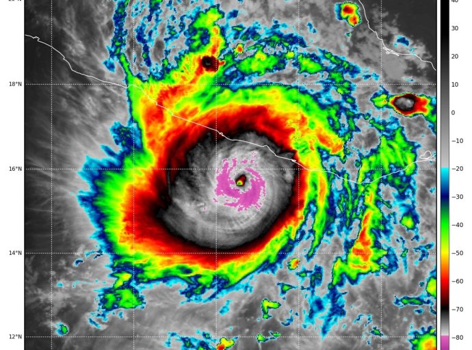
Ciudad de México.- Esta noche, el huracán Otis se ha fortalecido rápidamente y ahora es un huracán de categoría 4, representando una amenaza para la costa de Guerrero.
Ciudad de México.- Cuando las mujeres se acercan al final de su edad reproductiva, experimentan cambios fisiológicos que preceden y siguen a la menopausia debido a la disminución gradual de la función ovárica, expuso la doctora Imelda Hernández.
- En el caso de Ciudad Juárez, México, el director del Instituto Nacional de Migración, Francisco Garduño, sigue impune a pesar de la muerte de 40 migrantes
- Miles de ellos caen en manos de traficantes migratorios quienes, lo primero que hacen, es vaciar sus bolsillos
Por: Pascacio Taboada Cortina/Jorge Martínez Cedillo
A través de los diferentes medios de comunicación –radio, televisión, impresos y por Internet—nos enteramos diariamente de que millones de migrantes cruzan las fronteras de países vecinos o alejados, sin saber lo que les espera, que puede ser el alto riesgo de perder la vida en el intento.
- La paridad política o electoral es un mecanismo que fortalece y garantiza los derechos de las mujeres, para lograr redistribuir el poder de manera más justa: magistrada Janine Otálora Malassis.
Ciudad de México.- A 70 años del derecho del voto de la mujer en México, la Constitución se hace cargo de señalar que una democracia sin mujeres no tiene cabida en el país y lograr esa democracia implica atender las brechas estructurales que existen para que ellas puedan ejercer cargos de representación popular, afirmó la magistrada de la Sala Superior del Tribunal Electoral del Poder Judicial de la Federación (TEPJF), Janine Otálora Malassis.
- Causa en común hizo un análisis de los registros de incidencia de 9 delitos de alto impacto en México de acuerdo con cifras oficiales de la secretaría de seguridad y protección ciudadana.

De enero a septiembre también a la alza los casos de violencia familiar, narcomenudeo y trata en comparación con el mismo periodo del año anterior según cifras oficiales.

Consulta el estudios completo
- Comida chatarra: una falsa felicidad que consume el 83% de las familias en Estados Unidos.
Miami, Florida. - Resulta alarmante que el 83% de las familias estadounidenses consuman comida chatarra al menos una vez a la semana, motivados por esta época en la que reina la inmediatez y la falta de tiempo.
La cifra que revela Statista, una plataforma de datos e inteligencia empresarial, surge en medio de la polémica por el consumo de este tipo de alimentos, ricos en grasas saturadas y azúcar.
“Producen una felicidad temporal, un alto deterioro en el bienestar emocional y aumentan el riesgo de sufrir depresión, ansiedad y estrés”, alertó la Dra. Amny Acosta Then, directora general de Salutte Clinic, un centro de obesidad y especialidades que ha cambiado la vida a más de 3.500 personas en República Dominicana consiguiendo el peso feliz.
Las estadísticas arrojan que los alimentos ultraprocesados representan el 73% del suministro en EEUU. Estos tipo se han relacionado con la diabetes, la obesidad, el cáncer y otras afecciones de salud. Las hamburguesas son el alimento más consumido en EEUU, por una población que oscila entre los 20 y los 39 años.
Las cifras motivaron a la Dra. Acosta Then a crear la campaña de concientización “Comida Chatarra: Falsa Felicidad”, que invita a buscar la felicidad siendo más auténticos al consumir alimentos ricos en proteínas y grasas no saturadas.
Más cifras alarmantes:
· ● Los hombres son más propensos a comer comida rápida para almorzar, mientras que las mujeres lo hacen más como tentempié́.
· ● Alrededor del 35,4% de las mujeres consumen comida rápida a diario, y el 38% de los hombres.
· ● Los adultos que ganan más dinero son más propensos a consumir comida rápida.
· ● Un mayor porcentaje de adultos jóvenes consume comida rápida en comparación con los adultos mayores (44,9% de los adultos de 20 a 39 años frente al 24,1% de los adultos a partir de 60 años).
· ● Una persona gasta unos 1.200 dólares al año en comida rápida.
· ● Los hogares estadounidenses gastan de media alrededor del 10% de sus ingresos en comida rápida.
· ● El sector de la comida rápida crece alrededor de un 2,2% cada año.
La Dra. Acosta Then subraya que las personas que padecen depresión, ansiedad o estrés a menudo, presentan deficiencias de triptófano, un aminoácido esencial para la producción de serotonina. No es un secreto que esta es la “hormona de la felicidad”, por lo tanto, no consumir suficientes alimentos que colaboren a producirla, altera negativamente los estados de ánimo. Algunos alimentos que ayudan a producirla son la leche, el queso, la carne magra, el pescado, los huevos, los plátanos y las legumbres.
“Siempre recuerdo a mis pacientes que, para notar un cambio real, duradero y sostenible, lo primero que debemos trabajar es el estado mental. Y aunque efectivamente hay factores importantes como la relación con el paciente, la mentalidad con la que llegan y tener un sistema de apoyo sólido en el proceso, cambiar la alimentación es esencial. Los cambios siempre van a surgir desde el interior de nuestro cuerpo, y así́ se crea el balance”, comentó la Dra. Acosta Then.
- Observar el fenómeno con los “ojos desnudos” puede dañar la vista, por lo que se recomienda hacerlo a través de filtros especiales o métodos indirectos
Ciudad de México.- Nuestros ojos son una lente y, por ello, mirar al Sol puede quemar nuestra retina tal y como haría una lupa al concentrar un haz de luz sobre la superficie de un papel, advierte el profesor David Lozano, de la Facultad de Medicina de la UNAM.
- El objetivo, trazar la ruta para el desarrollo pacífico, legal y ético del proceso electoral federal.
Ciudad de México.- En el marco del proceso electoral federal 2023-2024, organizaciones de la sociedad civil, la academia, autoridades electorales administrativas y el Tribunal Electoral del Poder Judicial de la Federación (TEPJF) y consejeros del Instituto Nacional Electoral (INE) firmaron el Acuerdo Nacional por la Integridad Electoral, el cual establece directrices para el desarrollo pacífico, legal y ético de dicho proceso electoral.
El acuerdo, impulsado por la sociedad civil, representa una guía que compromete a cumplir con estándares nacionales e internacionales de elecciones democráticas. Es decir, se trata de proteger y fortalecer la integridad electoral para lograr que las y los ciudadanos gocen de igualdad de oportunidades para votar y ser elegidos, que los procesos electorales generen confianza pública en el sistema político y en las instituciones democráticas, que los gobiernos electos tengan una base sólida de legitimidad, y que la estabilidad política y la paz sea el sello distintivo de los procesos comiciales.
Durante el evento, al que asistieron representantes de instituciones académicas, organizaciones sociales, observadoras y observadores independientes, magistraturas de las Salas Regionales del Tribunal Electoral, así como consejeras y consejeros del INE e integrantes de los plenos de los Organismos Públicos Locales (Ople), el magistrado presidente del TEPJF, Reyes Rodríguez Mondragón, afirmó que de cara al proceso electoral 2024 es indispensable que ante cualquier cuestionamiento, se dé más diálogo entre instituciones y sociedad, y ante cualquier sospecha, más transparencia y apertura. Agregó que en ese contexto es imperativo estrechar los lazos entre las autoridades electorales y la sociedad civil.
En el Auditorio Pedro Ramírez Vázquez de la Rectoría General de la Universidad Autónoma Metropolitana (UAM), el magistrado presidente aseveró que la confianza es el tejido que da legitimación a las leyes electorales y fortalece el compromiso ético de acatarlas. Además, en democracia, enfatizó, es esencial para la construcción de la paz, reivindicar la política y la estabilidad social.
El magistrado presidente Reyes Rodríguez Mondragón destacó que el Acuerdo por la Integridad Electoral, impulsado por la sociedad civil, representa un hito en el compromiso común por construir un sistema de elecciones más robusto, y es, a su vez, un llamado para velar por la protección de los valores democráticos y avanzar con civilidad hacia una democracia más fuerte y resiliente. Unidos fortaleceremos la confianza y la calidad de las elecciones, aseveró.
Al tomar la palabra, el rector general de la UAM, José Antonio De los Reyes Heredia, señaló que con la firma de este acuerdo, de la mano del TEPJF, converge la responsabilidad y voluntad cívica de organizaciones civiles, la academia, así como de los sectores público y privado.
Dijo que la certeza de equidad en la competencia democrática y transparencia en sus resultados necesitará también de la participación y compromiso de ciudadanos, instituciones sociales y públicas en todo el país. La suscripción de este acuerdo resulta obligada por parte de universidades e instituciones de educación superior, porque son actores sociales fundamentales que, ante todo, crean ciudadanía, puntualizó.
Por su parte, el secretario técnico del Acuerdo Nacional por la Integridad Electoral, Luis Fernando Fernández, explicó que el acto es un código de conducta reconocido por los actores políticos e instituciones destinado a proteger la honestidad y viabilidad del proceso electoral. Sus objetivos, detalló, son tres: identificar y señalar las faltas de integridad electoral durante el proceso, reconocer los esfuerzos realizados por actores políticos e instituciones que contribuyen a la promoción de la integridad electoral y fortalecen el sistema democrático, así como proporcionar recomendaciones para mejorar las normas e instituciones.
Enfatizó que desde las organizaciones de la sociedad civil se promoverá la transparencia y distribuirá a la ciudadanía la información con el fin de que ejerza de manera plena sus derechos político-electorales. Se velará por que la integridad electoral se convierta en pilar del proceso electoral, añadió.
En tanto, Teresa Vivar, de la Organización Fuerza Migrante, dijo que la firma de este acuerdo representa la materialización de una aspiración colectiva hacia una democracia más inclusiva, justa y transparente. Los derechos de las mujeres, históricamente marginados, deberán encontrar en este espacio un baluarte de protección y promoción, comentó.
En su intervención, la presidenta de la Asociación de Instituciones Electorales de las Entidades Federativas, Yanko Durán Prieto, apuntó que para tener elecciones libres, auténticas y transparentes se requiere de integridad de parte de todos los participantes: instituciones electorales; autoridades de los niveles municipal, estatal y federal; medios de comunicación y, principalmente, de la ciudadanía en general.
Mientras que Dania Ravel Cuevas, consejera del Instituto Nacional Electora (INE), indicó que las sentencias que se emiten desde el ámbito jurisdiccional son obligatorias y vinculantes, sin embargo, a veces no se quieren cumplir, por lo que, señaló, este acuerdo servirá para recordar que la subsistencia de la democracia depende en buena medida de que todas y todos tengan un comportamiento demócrata, para lo cual es indispensable el respeto irrestricto al Estado de derecho y los derechos humanos.
Las actividades del ANIE se centrarán principalmente en el monitoreo general y especializado de los procesos electorales federal y locales concurrentes 2023-2024; la evaluación imparcial de las actividades de las autoridades electorales; presentación de informes con una perspectiva independiente y crítica, así como recomendaciones concretas y factibles dirigidas a fortalecer el proceso electoral.


